- Rathaus & Politik
- Leben & Wohnen
- Freizeit & Kultur
- Wirtschaft
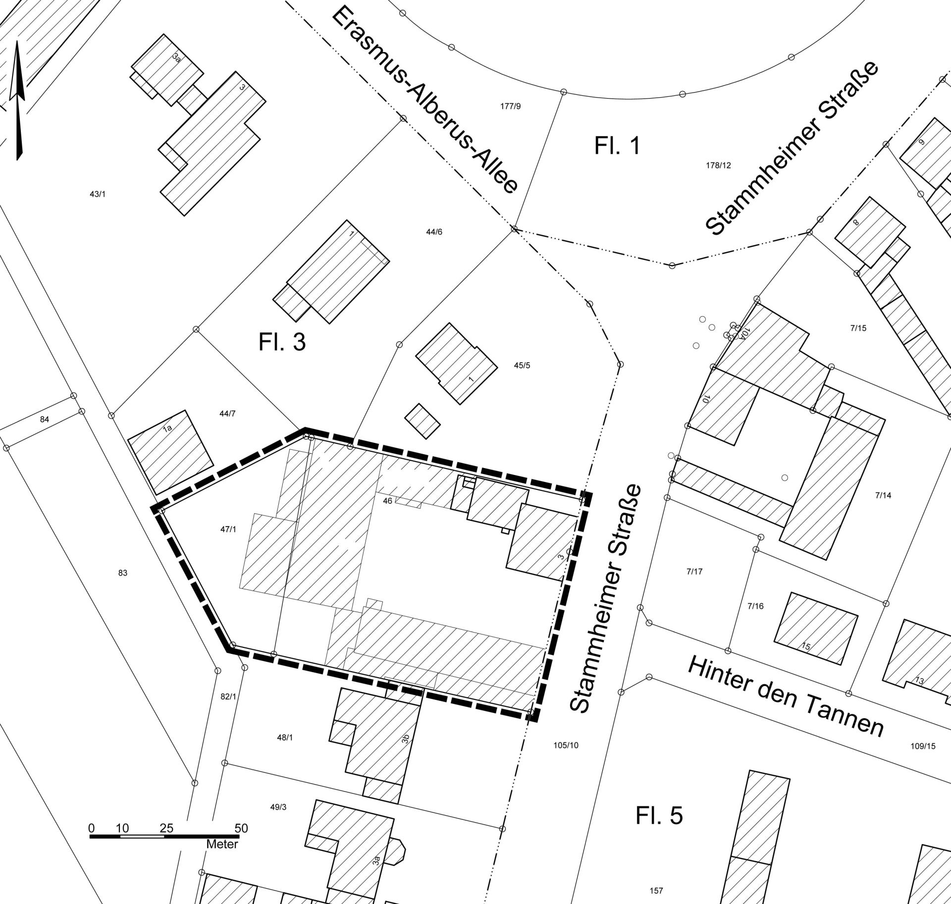
Bauleitplanung der Stadt Florstadt – Stadtteil Staden Bebauungsplan „Stammheimer Straße“
Der Geltungsbereich wird wie folgt im Stt. Staden abgegrenzt:
Im Norden und Nordwesten: bebaute Wohnbaugrundstücke
Im Osten: Landesstraße 3188, auf Höhe der Bushaltestelle
Im Süden: bebaute Wohnbaugrundstücke
Im Südwesten: Feldweg
Der Geltungsbereich liegt in Gegenlage der Straßeneinmündung „Hinter den Tannen“/Landesstraße.
Allgemeine Ziele und Zwecke
Die Flächen des 2.181 m² großen Geltungsbereiches wurden in der Vergangenheit von einem landwirtschaftlichen Betrieb genutzt. Die landwirtschaftliche Nutzung wurde bereits vor vielen Jahren eingestellt.
Durch Aufstellung des Bebauungsplanes sollen die bauleitplanerischen Voraussetzungen für die Wiedernutzbarmachung vorbereitet werden. Der heutige Hofcharakter soll hierbei erhalten werden.
Die Bauleitplanung wird als vorhabenbezogener Bebauungsplan aufgestellt. Es sind daher nur die Vorhaben zulässig, die im Vorhaben- und Erschließungsplan dargestellt sind. Dies sind im Wesentlichen:
• Einzel- und Doppelhäuser sowie Hausgruppen (Reihenhäuser) und die hierfür notwendigen und sinnvollen Nebenanlagen, z.B.: Wege, Terrassen, Hausgärten, Carports, Garagen und Stellplätze (Pkw und Fahrrad)
• Sammelgaragen bzw. Carports sowie Parkplätze
• Hofflächen, befestigt und unbefestigt
Der Bebauungsplan weist ein Allgemeines Wohngebiet aus.
Beteiligung der Öffentlichkeit gemäß § 3 Abs. 2 BauGB i.V.m. § 13a Abs. 2 Nr. 1 und § 13 Abs. 2 Nr. 2 BauGB
Die Stadtverordnetenversammlung hat den Beschluss zur Durchführung des Verfahrens nach § 3 Abs. 2 BauGB (Veröffentlichung der Bauleitplanung im Internet und öffentliche Auslegung) beschlossen.
Die Unterlagen der Bauleitplanung werden in der Zeit
vom 13.04.2026 bis einschließlich 22.05.2026 (Dauer der Veröffentlichungsfrist)
auf der Internetseite der Florstadt unter https://www.florstadt.de/rathaus-politik/aktuelles/bebauungsplaene-im-verfahren/ veröffentlicht und stehen unter dem Internetportal des Landes Hessen unter https://bauleitplanung.hessen.de zur Verfügung.
Sie können eingesehen bzw. im PDF-Format heruntergeladen werden.
Dies gilt auch für diese Bekanntmachung.
Zusätzlich zur Veröffentlichung im Internet werden die Unterlagen während der Dienststunden der Stadtverwaltung, Freiherr-vom-Stein-Straße 1, 61197 Florstadt, Zimmer 25, im oben genannten Zeitraum zu jedermanns Einsichtnahme öffentlich ausgelegt.
Die Mindestdauer der Veröffentlichungsfrist bzw. der öffentlichen Auslegung beträgt gemäß Baugesetzbuch einen Monat. Sie wird verlängert, damit ausreichend Zeit für die Einsichtnahme und die Abgabe der Stellungnahmen besteht.
Folgende Unterlagen werden öffentlich ausgelegt bzw. im Internet veröffentlicht: Planzeichnung des Bebauungsplanes, textliche Festsetzungen und Begründung.
Die Öffentlichkeit kann Stellungnahmen während der Dauer der Veröffentlichungsfrist abgeben.
Die Stellungnahmen sollten elektronisch an folgende Mail-Adresse abgegeben werden: stellungnahmen@buero-zillinger.de.
Bei Bedarf können sie aber auch auf anderem Wege abgegeben werden, zum Beispiel schriftlich, adressiert an die Stadtverwaltung Florstadt, oder zur Niederschrift.
Stellungnahmen, die nicht fristgerecht abgegeben werden, können bei der Beschlussfassung über den Bauleitplan unberücksichtigt bleiben.
Die Stellungnahmen werden ausgewertet und in nicht-öffentlichen und öffentlichen Sitzungen beraten. Die Verarbeitung der personenbezogenen Daten erfolgt nur im Rahmen des Planungsprozesses und im Übrigen unter Beachtung der Datenschutzverordnung.
Der Bebauungsplan wird im beschleunigten Verfahren gemäß § 13a BauGB ohne Durchführung einer Umweltprüfung nach § 2 Abs. 4 BauGB aufgestellt.
Es wird darauf hingewiesen, dass ein Planungsbüro mit der Durchführung des Verfahrens beauftragt wurde.
Der Magistrat der Stadt Florstadt
Daniel Imbescheid, Bürgermeister


